Land for Sale - 3711 Trace Drive, Wilson, NC 27893 - 0.72 acres

0.72 acres in Wilson County, NC

3711 Trace Drive, Wilson, NC | Lat/Lng:  35.7249, -77.9702

$45,000
0.72 ac.
11/19/2025
ACTIVE
Main Listing ImageMain Listing Image

Description

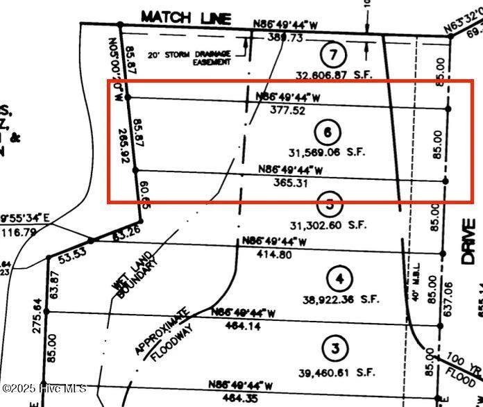
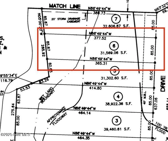
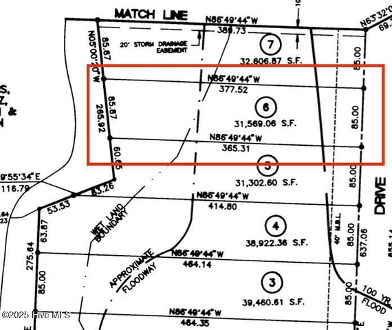
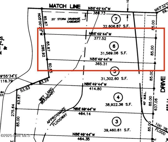
Great neighborhood & Location - Close to shops, restaurants, schools & hospital. No HOA. Zoned Single Family, Property is 85' wide street front & about 365.31' deep on one side. For Full Disclosure please see Restrictive Covenants Bk1506 Pg284-291. 50' Riparian Barrier from the bank of the Bloomery Swap. Per Wilson City GIS 500 Year Floodzone, 0.2 PCT ANNUAL CHANCE FLOOD HAZARD

Details

CountyWilson
Zipcode27893
BrokerageOur Town Properties Inc.
Brokerage Linkhttps://land.com
Cynthia Bannen
Our Town Properties Inc.
(252) 668-6454
By clicking the button, you agree to our Terms of Use and Privacy Policy.
$ image/svg+xml image/svg+xml image/svg+xml image/svg+xml image/svg+xml image/svg+xml image/svg+xml image/svg+xml image/svg+xml image/svg+xml image/svg+xml image/svg+xml image/svg+xml image/svg+xml image/svg+xml image/svg+xml image/svg+xml image/svg+xml image/svg+xml image/svg+xml image/svg+xml image/svg+xml image/svg+xml image/svg+xml image/svg+xml image/svg+xml image/svg+xml image/svg+xml image/svg+xml image/svg+xml image/svg+xml image/svg+xml image/svg+xml image/svg+xml image/svg+xml image/svg+xml image/svg+xml image/svg+xml image/svg+xml image/svg+xml image/svg+xml image/svg+xml image/svg+xml image/svg+xml image/svg+xml image/svg+xml image/svg+xml image/svg+xml image/svg+xmlimage/svg+xml image/svg+xml image/svg+xml image/svg+xml image/svg+xml image/svg+xml image/svg+xml image/svg+xml image/svg+xml image/svg+xml image/svg+xml image/svg+xml image/svg+xml image/svg+xml image/svg+xml image/svg+xml image/svg+xml image/svg+xml image/svg+xml image/svg+xml image/svg+xml image/svg+xml image/svg+xml image/svg+xml image/svg+xml $image/svg+xmlimage/svg+xmlimage/svg+xml image/svg+xml image/svg+xml