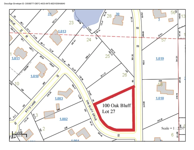
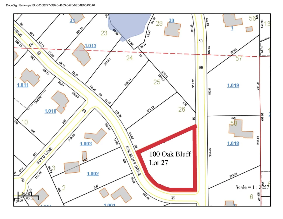
Land for Sale - 100, 102, 104, & 200 Oak Bluff Drive, Enterprise, AL 36330 - 1.14 acres

Multiple Lots Varying Acreages

100, 102, 104, & 200 Oak Bluff Drive, Enterprise, AL | Lat/Lng:  31.3703, -85.8512

$35,000
1.14 ac.
05/11/2023
ACTIVE
Main Listing ImageMain Listing Image

Description

Annual HOA fees are $200 for each lot. Each lot is sold separately. 100 Oak Bluff Drive is for sale for $35,000 with 1.14 acres and is a large corner lot. 102 Oak Bluff Drive is for sale for $25,000 with 0.84 acres. 104 Oak Bluff Drive is for sale for $25,000 with 0.87 acres. 200 Oak Bluff Drive is for sale for $35,000 with 0.85 acres and has lake access on the back corner of the property. Each lot is great to build your dream home!

Details

CountyCoffee
Zipcode36330
Property Type OneResidential Property
BrokerageTeam Linda Simmons Real Estate
Brokerage Linkwww.teamlindasimmons.com
Apn0908332000001017
Land Listing Agent Photo
Linda Simmons
Team Linda Simmons Real Estate
(334) 347-8441
By clicking the button, you agree to our Terms of Use and Privacy Policy.
$ image/svg+xml image/svg+xml image/svg+xml image/svg+xml image/svg+xml image/svg+xml image/svg+xml image/svg+xml image/svg+xml image/svg+xml image/svg+xml image/svg+xml image/svg+xml image/svg+xml image/svg+xml image/svg+xml image/svg+xml image/svg+xml image/svg+xml image/svg+xml image/svg+xml image/svg+xml image/svg+xml image/svg+xml image/svg+xml image/svg+xml image/svg+xml image/svg+xml image/svg+xml image/svg+xml image/svg+xml image/svg+xml image/svg+xml image/svg+xml image/svg+xml image/svg+xml image/svg+xml image/svg+xml image/svg+xml image/svg+xml image/svg+xml image/svg+xml image/svg+xml image/svg+xml image/svg+xml image/svg+xml image/svg+xml image/svg+xml image/svg+xmlimage/svg+xml image/svg+xml image/svg+xml image/svg+xml image/svg+xml image/svg+xml image/svg+xml image/svg+xml image/svg+xml image/svg+xml image/svg+xml image/svg+xml image/svg+xml image/svg+xml image/svg+xml image/svg+xml image/svg+xml image/svg+xml image/svg+xml image/svg+xml image/svg+xml image/svg+xml image/svg+xml image/svg+xml image/svg+xml $image/svg+xmlimage/svg+xmlimage/svg+xml image/svg+xml image/svg+xml