Land for Sale - 2435 Brookfield Drive, Seneca, IL 61360 - 22.0 acres

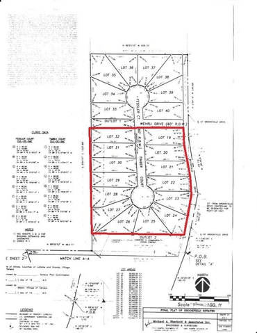
Brookfield Estates, Seneca Lots 19-40

2435 Brookfield Drive, Seneca, IL | Lat/Lng:  41.3111, -88.6098

$220,000
22 ac.
05/11/2018
ACTIVE
Main Listing ImageMain Listing Image

Description

Brookfield Estates is a single family development in Seneca, IL. The development is found on the south side of the Illinois River. Many boating and recreational opportunity along with the highly regarded Seneca school district. Lots 19-40 have frontage on Wehrli Dr. and Fessler Ct. with approximately 22 total acres when you combine all 22 lots. Several of these lots are wooded as you can see from the aerial photographs. Excellent building site for up to 22 single family homes. Brookfield Estates is in an area of high quality homes. Lots 19-40 are part of a larger 40 lot development. Section one are lots 1-3, section two are lots 4-18 and section three are lots 19-40. Each section is being sold separately.

Details

CountyLa Salle
Zipcode61360
Property Type OneUndeveloped Land
BrokerageGoodwin & Associates Real Estate, LLC
Brokerage Linkbigfarms.com
Land Listing Agent Photo
Mark Goodwin
Goodwin & Associates Real Estate, LLC
(815) 741-2226
By clicking the button, you agree to our Terms of Use and Privacy Policy.
$ image/svg+xml image/svg+xml image/svg+xml image/svg+xml image/svg+xml image/svg+xml image/svg+xml image/svg+xml image/svg+xml image/svg+xml image/svg+xml image/svg+xml image/svg+xml image/svg+xml image/svg+xml image/svg+xml image/svg+xml image/svg+xml image/svg+xml image/svg+xml image/svg+xml image/svg+xml image/svg+xml image/svg+xml image/svg+xml image/svg+xml image/svg+xml image/svg+xml image/svg+xml image/svg+xml image/svg+xml image/svg+xml image/svg+xml image/svg+xml image/svg+xml image/svg+xml image/svg+xml image/svg+xml image/svg+xml image/svg+xml image/svg+xml image/svg+xml image/svg+xml image/svg+xml image/svg+xml image/svg+xml image/svg+xml image/svg+xml image/svg+xmlimage/svg+xml image/svg+xml image/svg+xml image/svg+xml image/svg+xml image/svg+xml image/svg+xml image/svg+xml image/svg+xml image/svg+xml image/svg+xml image/svg+xml image/svg+xml image/svg+xml image/svg+xml image/svg+xml image/svg+xml image/svg+xml image/svg+xml image/svg+xml image/svg+xml image/svg+xml image/svg+xml image/svg+xml image/svg+xml $image/svg+xmlimage/svg+xmlimage/svg+xml image/svg+xml image/svg+xml