Pontotoc County, Mississippi Land For Sale (20 results)
Want to post your listings on AcreValue? View Listing Plans
AcreValue offers multiple types of land for sale in Pontotoc County, so if you’re looking for a new ranch, farm, recreational property, hunting ground, developmental property, or land investment you’ve come to the right place. Regardless of what your needs or objectives are for your land, we have a large inventory of available parcels that are updated regularly. Therefore, it’s very likely that we have the perfect parcel that meets all the search criteria & specifications that you’ve been searching for. Additionally, because our land for sale listings are always being updated due to the frequency of land being sold or new land listings being put on the market, make sure that you are checking back with AcreValue regularly for updates. When you find the perfect land parcel and you are ready to take the next steps you can easily connect directly with the listing agent to help you facilitate your land purchase. Browse AcreValue's Mississippi land for sale page to find more potential opportunities in Mississippi that fit your needs. We wish you the best of luck in finding your next ranch, farm, recreational property, hunting ground, developmental property, or land investment.
10/14/2025
$623,700
188.4 ac.
ACTIVE
Pontotoc County - South Pontotoc Rd, Pontotoc, MS
Timber investment and development property directly adjacent to South Pontotoc High School. This property boasts approximately 1,250 feet of road frontage on South Pontotoc Road in a high traffic growth area with direct access to South Pontotoc High School. This is truly a multi-use property with opportunities such as commercial, multi-family housing, or residential. Excellent long term investment potential. Minerals reserved. Owner financing available for a qualified buyer.
For more information, contact Keith Morris at 713-382-7975 or Andrew Lewis at 662-251-7530
02/25/2025
$499,125
151.25 ac.
ACTIVE
Pontotoc County - 0 Redland Road, Pontotoc, MS
Discover the possibilities with this 151 acre property, recently cleared and ready for your vision. Whether you're looking to build, farm or enjoy outdoor recreation, this land offers endless potential.
Abundant Wildlife: A natural habitat for deer, turkey, and more - perfect for hunting or wildlife watching
Recently Cleared: A fresh start for farming, grazing, or future developement.
Expansive Acreage: Plenty of space for a private retreat, ranch or recreational use.
A rare opportunity to own a large tract of land with both open space and natural beauty. Don't miss out -- schedule a visit today.
Greg Warren, Agent, Registered Forester, Certified Land Specialist
Licensed in MS
Office: 662-495-1121
Cell: 662-547-8126
Email:
02/25/2025
$499,125
151.25 ac.
ACTIVE
Pontotoc County - 0 Redland Road, Pontotoc, MS
Discover the possibilities with this 151 acre property, recently cleared and ready for your vision. Whether you're looking to build, farm or enjoy outdoor recreation, this land offers endless potential.
Abundant Wildlife: A natural habitat for deer, turkey, and more - perfect for hunting or wildlife watching
Recently Cleared: A fresh start for farming, grazing, or future developement.
Expansive Acreage: Plenty of space for a private retreat, ranch or recreational use.
A rare opportunity to own a large tract of land with both open space and natural beauty. Don't miss out -- schedule a visit today.
Greg Warren, Agent, Registered Forester, Certified Land Specialist
Licensed in MS
Office: 662-495-1121
Cell: 662-547-8126
Email:
09/26/2025
$188,100
34.21 ac.
ACTIVE
Pontotoc County - Hwy 346, Thaxton, MS
Welcome to the Pontotoc 34.2a beautiful tract located in Thaxton, Mississippi. This versatile 34.2 acre property offers convenient frontage along Hwy 346, providing convenient access while maintaining the privacy and serenity of rural living.
As you arrive at the Pontotoc County property, you'll find a partially cleared area at the front that, with minimal work, could be transformed into an ideal home site. Imagine building your dream home here, with the peace and quiet of the countryside right at your doorstep. Utilities are available at the road.
Beyond the potential home site, the remainder of the property opens up for recreational use, offering a perfect balance of functionality and natural beauty. A standout feature of this tract is the impressive 14 acre slough/marsh area, creating excellent habitat for wildlife and providing some outstanding hunting opportunities.
Whether you're looking for a place to build, hunt, or simply enjoy nature, the Pontotoc 34.2 checks all the boxes.
Contact Luke Gossett today for your private showing!
Location:
Hwy 346
Thaxton, MS 38871
Pontotoc County
15.6 Miles W of Pontotoc
20.7 Miles E of Oxford
Coordinates:
34.3365, -89.2219
Property Use:
Recreation
Deer & Duck Hunting
Potential Home Site
Property Information:
34.2 Total Acres
14 Acre Slough/Marsh
Utilities at the Road
Hwy 346 Frontage
Tax Information:
Taxes TBD
Part of Parcels:
#019-32-000-009.01
#023-05-000-002.01
09/26/2025
$188,100
34.21 ac.
ACTIVE
Pontotoc County - Hwy 346, Thaxton, MS
Welcome to the Pontotoc 34.2a beautiful tract located in Thaxton, Mississippi. This versatile 34.2 acre property offers convenient frontage along Hwy 346, providing convenient access while maintaining the privacy and serenity of rural living.
As you arrive at the Pontotoc County property, you'll find a partially cleared area at the front that, with minimal work, could be transformed into an ideal home site. Imagine building your dream home here, with the peace and quiet of the countryside right at your doorstep. Utilities are available at the road.
Beyond the potential home site, the remainder of the property opens up for recreational use, offering a perfect balance of functionality and natural beauty. A standout feature of this tract is the impressive 14 acre slough/marsh area, creating excellent habitat for wildlife and providing some outstanding hunting opportunities.
Whether you're looking for a place to build, hunt, or simply enjoy nature, the Pontotoc 34.2 checks all the boxes.
Contact Luke Gossett today for your private showing!
Location:
Hwy 346
Thaxton, MS 38871
Pontotoc County
15.6 Miles W of Pontotoc
20.7 Miles E of Oxford
Coordinates:
34.3365, -89.2219
Property Use:
Recreation
Deer & Duck Hunting
Potential Home Site
Property Information:
34.2 Total Acres
14 Acre Slough/Marsh
Utilities at the Road
Hwy 346 Frontage
Tax Information:
Taxes TBD
Part of Parcels:
#019-32-000-009.01
#023-05-000-002.01
09/01/2025
$53,800
4.45 ac.
ACTIVE
Pontotoc County - 2625 Cane Creek Rd N, Thaxton, MS
Owner Financing Available! (see details below)
Youre limited only by your own imagination when you start building on this unrestricted land just 15 minutes from Pontotoc, and your project has been jumpstarted with a driveway and shed already in place!
Property Overview:
Address: 2625 Cane Creek Rd, Thaxton, MS, 38871
Size: 4.44 Acres
Key Features:
No Restrictions!
Very Buildable: Cleared, Flat, No Floodplain or Wetlands
Driveway
Shed
Power & Water
Paved Road Frontage Fresh Blacktop
Surveyed
Priced Well Below Market
PROPERTY: This 4.44 acre Mississippi gem near Tupelo offers the perfect blend of peace, privacy, and potential, with no restrictions to limit your vision. The land is flat, cleared, and outside any floodplain or wetlands, with a graded driveway and shed already in place, making it highly buildable for residential or recreational use. Youll enjoy 218 feet of paved public road frontage on Cane Creek Road, plus available power and water connections, while a septic system can easily be installed. Professionally surveyed and priced well below market, the property boasts cheap taxes, abundant deer and wildlife, and a safe, welcoming neighborhood just minutes from Pontotoc. With Trace State Park, Tanglefoot Trail, Ingomar Mounds, and countless lakes and state parks nearby, outdoor adventures are never far away. Whether you dream of a home, cabin, mobile home, RV setup, or simply keeping it as your own nature retreat, this property delivers freedom, convenience, and natural beauty in one unbeatable package. Grab it today at an unbeatable Acretown price!
Call, text, or email Scott if you have any questions or would like to make an offer. If youre a Spanish speaker, please ask for Andy on our team and hell be glad to help you. Weve posted a lot of info below - including critical instructions for visiting the property - so please keep reading.
Property Description:
Address: 2625 Cane Creek Rd, Thaxton, MS, 38871
Size: 4.44 acres
GPS Coordinates: 34.313842, -89.137625
Full Legal Description: Available upon request
Plat Map/Survey: Available upon request
Title: General Warranty deed (clean - no back taxes, no liens)
Dimensions: starting at NE corner, 218 SE (along road) x 1205 W x 170 N x 1069 E to POB
Floodplain: none
Wetlands: none
Elevation: 374 feet
Terrain: generally flat
Condition: undeveloped, cleared, graded driveway
Access: 218 feet of direct frontage on Cane Creek Rd, a paved public road
Power: available thru North East Mississippi Electric Power Association
Water: available thru Toccopola Water Association
Wastewater: septic system would need to be installed
Taxes: $302.15 in 2024
Hoa: none
DEED RESTRICTIONS: none
ZONING: no zoning, NO RESTRICTIONS do what you want with your land!
homes and accompanying outbuildings such as garages, workshops, barns are all OK
no size/height restriction on homes/structures on the lot
no setback requirements
no time limit to build leave the lot as-is for as long as you want or need
RVs, campers, mobile homes, cabins, tiny homes are all OK
animals, livestock, etc OK
no HOA or CC+Rs
or, simply leave it as-is and enjoy being surrounded by nature!
Inquire for Full Restrictions
School District: North Pontotoc (Elementary), North Pontotoc (Middle School), North Pontotoc (High School)
NEAREST CITIES: Pontotoc, Tupelo, Memphis, TN
NEAREST AIRPORTS: Tupelo Regional (30 mins), Memphis International (1 hr 48 mins)
Visiting the Property
You can go view the property at your convenience - owner does not need to accompany. Please call/text us to let us know youre heading out, so we can (1) confirm its availability (our land does sell fast), and (2) ensure we have our phone on us in case you need help or have any questions. Wed appreciate a couple hours notice if possible.
Driving Directions: Simply enter your starting point to get step-by-step directions.
You can navigate to the following GPS Coordinates: 34.313842, -89.137625
Local Attractions
This charming property is conveniently positioned near some of North Mississippis best recreational attractions. Trace State Park offers extensive multi-use trails, ideal for hiking, biking, horseback riding, and fishing on its picturesque lake. Nearby, Tanglefoot Trail Plaza features a 43-mile paved trail beloved by cyclists, walkers, and joggers seeking a leisurely outdoor adventure through charming rural landscapes. Theres nothing quite like a college football Saturday in Oxford (just about 30 mins down US 278) to watch Ole Miss compete for an SEC championship. For history buffs, the ancient Ingomar Mounds provide an intriguing glimpse into Mississippis prehistoric cultures. Youll have access to a Walmart and lots of delicious dining options in Pontotoc just 15 minutes down the street, while major retail shopping, including Sams Club, Home Depot, and many other big box stores, is available in Tupelo about 20 minutes farther east. For big city action and world class live music, the vibrant city of Memphis serves as the nearest major urban hub to the northwest.
OWNER Financing: We do offer owner financing under the following terms:
Owner Financed Price = $58,800
Down Payment = $12,000
Monthly Payment = $923.40
Term = 6 years (72 months)
Interest Rate = 10.9%
No Pre-Payoff Penalty!
Call, text, or email Scott if youd like to discuss an offer. If youre a Spanish speaker, please ask for Andy on our team and hell be glad to help you.
For Sale by Owner: We are investors, and are selling this lot For-Sale-By-Owner. You do not need to submit your offer through a real estate agent, and in our experience we close transactions more quickly and easily by having our dedicated transaction coordinator work directly with the Title Company and Buyers. We will also both save money on commission/fees by cutting out agents as the middle men. However, if you feel strongly about working with a Realtor, then youre welcome to have them contact us on your behalf.
Why Are You Selling It So Cheap? We are often asked why we price our properties at below market value, and the answer is really simple: because we can, and thats our core business model. We are investors who purchase properties at a large volume and deeply liquidated rates, and by passing this discount on to our buyers, we can sell land quicklyand more of it. In fact, our average property only lasts 2-3 weeks on the market (vs. industry average of about 6 months).
Disclaimer: We attempt to provide detailed, accurate and up-to-date information in our listings, in order to help our buyers to the best of our ability. However, it ultimately remains the buyers responsibility to perform their own due diligence and double check any details that are of significant importance to you including acreage, utilities, buildability, and approved/allowable usage for the property. We are happy to help however we can.
12/07/2023
$744,250
229 ac.
ACTIVE
Pontotoc County - Tuscumbia Road, Blue Springs, MS
If you have ever dreamed of owning your own deer and turkey hunting paradise this is your chance! Deer, turkey and small game are in abundance on this property. With a graveled easement and extremely well maintained road system, getting around the land is a breeze. With 4 large established food plots and stands already in place, you could start hunting this property today. The southern 160 acres is 12-13 year old pine plantation with the remaining 60 acres being natural regen of pine and hardwoods. Call Greg Warren today!!!
Greg Warren, Certified Land Specialist
Licensed in MS
Office: 662-495-1121
Cell: 662-547-8126
Email:
07/28/2025
$325,000
81.5 ac.
ACTIVE
Pontotoc County - Thaxton, MS
If you have been looking for a place to build your forever home, your search can stop here! The Pontotoc 81.5 offers opportunities for creating your very own recreational farm or a homestead, or both! Conveniently located 22 miles east of Oxford, MS, and roughly 17 miles west of Pontotoc, this 81.5 acre gem provides the country feel with amenities in close proximity. Entering the Pontotoc County property from Hwy 346, you will be met with approximately 13 acres of well-groomed, high-production pasture ground. This area provides income potential for someone interested in high-end hay production or a place to hold cattle. The beautiful open ground also offers a secluded nook in the back that is flat and ready for you to build. The gently rolling pasture has one small, low-lying area, which, with a little work, could easily be converted into a pond for the wildlife or a fishing spot for the family. In the center of the property you will find 33 acres of diverse timber. The wooded area has pockets of thick cover and is an ideal place for hunting deer, turkeys, and small game. The terrain slopes downhill until you reach Mill Creek, an almost year-round water source for local wildlife and a fun place to play and cool off. Across from Mill Creek sits 18.5 acres of agricultural ground. The fertile farmland could be another source of income through a farm lease or as a blank canvas for wildlife. The ag ground has high potential to serve as food plots for wildlife or become your next conservation project. This property offers endless possibilities for the avid outdoorsman, farmer, or those simply seeking a beautiful, peaceful piece of land to call their own. Whether you're looking to build your dream home, hunt private land, or explore agricultural ventures, the Pontotoc 81.5 checks all the boxes! Call Hunter Robison or Kyle Fugitt today to schedule your private showing! Location:
Hwy 346 Pontotoc, MS 38863
Pontotoc County
14.3 Miles W of Pontotoc
23 Miles E of Oxford
100 Miles SE of Memphis, TN
182 Miles NE of Jackson, MS
Coordinates:
34.35458, -89.17399
Tax Information:
2024 - $309.50
Property Use:
Home Site
Ag Ground
Pastureland
Hunting
Recreation
Investment
Property Information:
81.5 Total Acres
18.5 Acres of Dry Farm Ground
1,400' Frontage on Hwy 346
Mixed Hardwood & Pine Timber
Mill Creek Frontage
Several Home Sites
Utilities on Site
09/05/2025
$425,000
130.37 ac.
ACTIVE
Pontotoc County - 700 Spain Road, Ecru, MS
130.36 acres fronting on Spain Road and Q.T. Todd Road just outside of Ecru in Pontotoc County, MS. A mixture of open fields with scattered woods. Long paved road frontage on two county roads making it perfect for divisions. Community water available. Mobile home approved. North Pontotoc Schools.
09/05/2025
$425,000
130.37 ac.
ACTIVE
Pontotoc County - 700 Spain Road, Ecru, MS
130.36 acres fronting on Spain Road and Q.T. Todd Road just outside of Ecru in Pontotoc County, MS. A mixture of open fields with scattered woods. Long paved road frontage on two county roads making it perfect for divisions. Community water available. Mobile home approved. North Pontotoc Schools.
06/17/2025
$547,286
190.36 ac.
ACTIVE
Pontotoc County - Garrett Creek Loop, Pontotoc, MS
190.36 Acres of Prime Hunting Land for Sale in Pontotoc County, MS Loaded with Wildlife & Ready to Enjoy!
This 190.36-acre tract along Garrett Creek Loop in Pontotoc County is the one you've been waiting for. Located just 10 miles southeast of Pontotoc, this property offers recreational opportunity and a great timber investment.
Property Features:
6 Well-Established Food Plots totaling approximately 6 acres already in place to attract and hold wildlife
Good Internal Road System easy access to multiple areas of the property
High Deer Density a proven hunting tract with whitetail activity throughout
Turkey Tracks throughout the property at initial visit
Utilities Available power and water is accessible along Garrett Creek Loop, giving you options for future improvements
Planted Pine Plantation in a beautiful setting with great topography and plenty of cover for wildlife.
This property is ideal for the avid hunter, outdoor enthusiast, or family looking to build a peaceful retreat in the heart of North Mississippi. Whether you're looking for a weekend getaway, a place to chase deer and turkeys, or a long-term investment in land, this tract checks all the boxes.
Hunter McCool, Certified Land Speacialist
Mossy Oak Properties Bottomland Real Estate
Licensed in MS and AR
662-295-7447
Office 662 495 1121
06/17/2025
$547,286
190.36 ac.
ACTIVE
Pontotoc County - Garrett Creek Loop, Pontotoc, MS
190.36 Acres of Prime Hunting Land for Sale in Pontotoc County, MS Loaded with Wildlife & Ready to Enjoy!
This 190.36-acre tract along Garrett Creek Loop in Pontotoc County is the one you've been waiting for. Located just 10 miles southeast of Pontotoc, this property offers recreational opportunity and a great timber investment.
Property Features:
6 Well-Established Food Plots totaling approximately 6 acres already in place to attract and hold wildlife
Good Internal Road System easy access to multiple areas of the property
High Deer Density a proven hunting tract with whitetail activity throughout
Turkey Tracks throughout the property at initial visit
Utilities Available power and water is accessible along Garrett Creek Loop, giving you options for future improvements
Planted Pine Plantation in a beautiful setting with great topography and plenty of cover for wildlife.
This property is ideal for the avid hunter, outdoor enthusiast, or family looking to build a peaceful retreat in the heart of North Mississippi. Whether you're looking for a weekend getaway, a place to chase deer and turkeys, or a long-term investment in land, this tract checks all the boxes.
Hunter McCool, Certified Land Speacialist
Mossy Oak Properties Bottomland Real Estate
Licensed in MS and AR
662-295-7447
Office 662 495 1121
04/15/2025
$600,000
15.11 ac.
ACTIVE
Pontotoc County - 0 Hwy 15, Pontotoc, MS
15.11 Acres on Hwy 15 - Prime Commercial Development Opportunity
Located in a rapidly growing area, this 15.11 acre property offers excellent highway frontage and visibility. Cleared and level, it's ready for development - perfect for a new business, retail center, or commercial project. Don't miss this opportunity in an up and coming location.
Greg Warren, Agent, Registered Forester, Certified Land Specialist
Licensed in MS
Office: 662-495-1121
Cell: 662-547-8126
Email:
04/15/2025
$35,000
1.35 ac.
ACTIVE
Pontotoc County - 0 Tallant Lane, Pontotoc, MS
Don't miss this opportunity to own a 1.35 acre Lot with access to Hwy 15. Ideal for commercial or residential development, this property offers high traffic exposure in a rapidly growing area
04/24/2025
$110,000
1 ac.
ACTIVE
Pontotoc County - 5 Star Road, Pontotoc, MS
1 acre of cleared and level land located on 5 Star Road in a highly desirable area. This property is develpment ready and ideal for commercial or light industrial use, offering excellent visibility and easy access in a growing area.
Greg Warren, Agent, Registered Forester, Certified Land Specialist
Licensed in MS
Office: 662-495-1121
Cell: 662-547-8126
Email:
04/24/2025
$110,000
1 ac.
ACTIVE
Pontotoc County - 5 Star Road, Pontotoc, MS
1 acre of cleared and level land located on 5 Star Road in a highly desirable area. This property is develpment ready and ideal for commercial or light industrial use, offering excellent visibility and easy access in a growing area.
Greg Warren, Agent, Registered Forester, Certified Land Specialist
Licensed in MS
Office: 662-495-1121
Cell: 662-547-8126
Email:
04/15/2025
$249,000
16.61 ac.
ACTIVE
Pontotoc County - Tallant Lane, Pontotoc, MS
16.6 Acres Just Off Hwy 15 - Ideal for Subdivision
Excellent development opoortunity! This 16.6 acre parcel is level, cleared and perfectly situated just off of Hwy 15 in Pontotoc. With easy access and a prime location, it's an ideal site for a residential subdivision or future investment.
Greg Warren, Agent, Registered Forester, Certified Land Specialist
Licensed in MS
Office: 662-495-1121
Cell: 662-547-8126
Email:
04/15/2025
$249,000
16.61 ac.
ACTIVE
Pontotoc County - Tallant Lane, Pontotoc, MS
16.6 Acres Just Off Hwy 15 - Ideal for Subdivision
Excellent development opoortunity! This 16.6 acre parcel is level, cleared and perfectly situated just off of Hwy 15 in Pontotoc. With easy access and a prime location, it's an ideal site for a residential subdivision or future investment.
Greg Warren, Agent, Registered Forester, Certified Land Specialist
Licensed in MS
Office: 662-495-1121
Cell: 662-547-8126
Email:
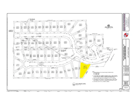
04/24/2025
$40,000
1.37 ac.
ACTIVE
Pontotoc County - Lot 1 Old Town Dr, Pontotoc, MS
Olde Towne Drive is know for its peaceful atmosphere and convenient location, making it an ideal choice for families and individuals alike.
Greg Warren, Agent, Registered Forester, Certified Land Specialist
Licensed in MS
Office: 662-495-1121
Cell: 662-547-8126
Email:
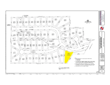
04/24/2025
$40,000
1.37 ac.
ACTIVE
Pontotoc County - Lot 1 Old Town Dr, Pontotoc, MS
Olde Towne Drive is know for its peaceful atmosphere and convenient location, making it an ideal choice for families and individuals alike.
Greg Warren, Agent, Registered Forester, Certified Land Specialist
Licensed in MS
Office: 662-495-1121
Cell: 662-547-8126
Email:
1